• HOME
  • IMÓVEIS
  • CONTACTOS

Terreno

-

Loulé

Loulé – São Sebastião
ID:120141048-2919
Venda
395.000€

Descrição do imóvel

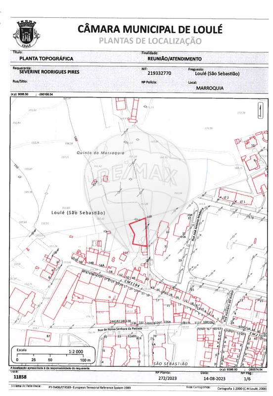
Terreno Rústico em Loulé – Marroquia, com Potencial de Valorização

Apresentamos este terreno rústico com 1.430 m², situado na zona da Marroquia, no limite poente do perímetro urbano da cidade de Loulé. A localização é estratégica, numa área de expansão, com proximidade a todas as infraestruturas urbanas, como redes de abastecimento de água e saneamento básico.

De acordo com o PDM de Loulé, e pela análise das plantas online de localização e ordenamento, o imóvel encontra-se inserido em Espaços Urbanos – Áreas de Aglomerado Tipo A, sem condicionantes identificadas na planta de ordenamento.

Apesar deste enquadramento nos instrumentos de gestão do território, a edificabilidade deverá ser sempre validada através de pedido de informação prévia ou certidão de viabilidade junto do Município de Loulé, incluindo a análise das condições de ligação às infraestruturas públicas.

Este terreno representa assim uma excelente oportunidade de investimento, tanto pela sua localização junto ao perímetro urbano como pelo seu enquadramento urbanístico, que lhe confere um elevado potencial de valorização futura.

+++

Rustic Land in Loulé – Marroquia, with Potential for Appreciation

We present this 1,430 m² plot of rustic land, located in the Marroquia area, on the western edge of the urban perimeter of the city of Loulé. The location is strategic, in an area of expansion, close to all urban infrastructure, such as water supply and basic sanitation networks.

According to the Loulé Municipal Master Plan (PDM) and analysis of the online location and zoning plans, the property is located in Urban Areas – Type A Agglomeration Areas, with no restrictions identified in the zoning plan.

Despite this classification in the land management instruments, buildability must always be validated by means of a prior information request or feasibility certificate from the Municipality of Loulé, including an analysis of the conditions for connection to public infrastructure.

This land therefore represents an excellent investment opportunity, both for its location close to the urban perimeter and for its urban setting, which gives it high potential for future appreciation.

;ID RE/MAX: 120141048-2919

João Frazão

Consultor Imobiliário
T. +351 962 014 799
E. jfrazao@remax.pt
Contactar Agente

Detalhes do imóvel

Area Bruta:

Area Útil:

Ano de Construção:

1430m2

NaNm2

N/A

Quartos:

WCs:

Estado de Conservação:

N/A

Ver mais fotos

Imóveis Semelhantes